Precision Testing S.R.L.

CONTATTI
SEDE OPERATIVA
SEGUICI SU
f5047b60-6e08-4e1c-8f52-7213ba17d74e

info@precisiontesting.it

Via del Commercio, 3 int. 5

37030 - Colognola ai Colli (VR)

ITALY


facebook
linkedin
youtube

© 2024

Telefono: +39 045 7650292

Privacy policy Cookie policy

f5047b60-6e08-4e1c-8f52-7213ba17d74e

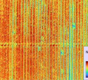
MONITORAGGIO DI PARASSITI E MALERBE

Forte di un’esperienza pluriennale nel settore della difesa delle colture, il personale di Precision Testing Srl esegue:

a) il monitoraggio di alcuni fitofagi tramite:

  • la gestione di trappole a feromoni (es: adulti di ELATERIDI)
  • la gestione di vasetti esca per la cattura di larve di ELATERIDI
  • la gestione di trappole cromotropiche o luminose

b) il monitoraggio delle malerbe tramite:

  • rilievi visivi
  • rilievi con drone


Alle imprese agricole sono fornite:

  • mappe dell’infestazione di fitofagi e malerbe
  • dati da integrare nei DSS impiegati dall’azienda per la difesa

 

© Precision Testing SRL 2024

Privacy policyCookie policy